Tai nạn giao thông luôn là nỗi ám ảnh, và tình trạng chó bị gãy cổ xương đùi là một trong những ca cấp cứu phức tạp nhất. Vừa qua, Bệnh viện Thú y Bằng Phạm đã tiếp nhận một ca cấp cứu khẩn cấp. Tưởng chừng như tình trạng chó bị gãy cổ xương đùi sẽ khiến bé Nâu vĩnh viễn mất đi khả năng di chuyển chân sau, nhưng nhờ phẫu thuật thay khớp háng toàn phần (THR), một phép màu y học đã thực sự xuất hiện.
Tình trạng nguy kịch: Chó bị gãy cổ xương đùi do tai nạn
Sau khi gặp tai nạn giao thông nghiêm trọng và mất đi khả năng di chuyển chân sau, Nâu đã được người chủ gấp rút đưa ngay đến Bệnh viện Thú y Bằng Phạm.

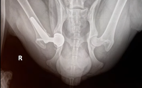
Tại đây, kết quả chụp X-quang cho thấy Nâu bị tổn thương cực kỳ nặng tại khớp háng. Về mặt giải phẫu, khớp háng có cấu trúc “khối cầu – ổ cối” kết nối xương chậu và xương đùi, đóng vai trò thiết yếu giúp khớp linh hoạt ở nhiều góc độ để thực hiện các hoạt động đi lại, chạy nhảy và giữ thăng bằng.


Cú ngã đập mạnh xuống nền đường cứng đã tác động trực tiếp vào vùng mấu chuyển lớn của bé. Hậu quả là Nâu bị gãy ở cổ xương đùi, tức là vị trí nằm ngay giữa chỏm và khối mấu chuyển của xương đùi. Đây là một dạng chấn thương rất phức tạp.
Giải pháp đột phá: Phẫu thuật thay khớp háng toàn phần (THR)
Đối mặt với tình trạng gãy xương phức tạp này, đội ngũ y bác sĩ tại Bệnh viện Thú y Bằng Phạm đã quyết định lựa chọn phương pháp thay khớp háng toàn phần – THR (Total Hip Replacement) cho Nâu.
Phẫu thuật THR được xem là một bước đột phá, một thành tựu vĩ đại trong ngành chấn thương chỉnh hình thú y. Trong ca mổ này, phần khớp háng bị tổn thương sẽ được loại bỏ và thay thế hoàn toàn bằng một bộ khớp nhân tạo. Kỹ thuật này rất khó, đòi hỏi đội ngũ chuyên gia phải thực sự giỏi nghề kết hợp cùng trang thiết bị tối tân mới có thể thực hiện thành công.

Để ca mổ diễn ra thành công, các bác sĩ đã tính toán tỉ mỉ một kế hoạch chi tiết. Đội ngũ quyết định sử dụng bộ dụng cụ thay khớp háng THR của BlueSAO – một trong những công nghệ tiên tiến nhất hiện nay, được thiết kế đặc biệt để phục hồi chức năng vận động cho thú cưng. Công nghệ này sở hữu nhiều ưu điểm vượt trội:
- Độ bền và tuổi thọ cấy ghép cao.
- Thiết kế phù hợp với cấu trúc giải phẫu cơ thể thú cưng.
- Sử dụng vật liệu y tế an toàn, giúp giảm thiểu tối đa các biến chứng hậu phẫu.



Quá trình phẫu thuật diễn ra với độ chính xác cao: Nâu được đặt vào thiết bị chuyên dụng để cố định vùng xương chậu; tiếp đó phần xương và sụn dập nát do tai nạn được cắt bỏ. Bác sĩ tiến hành gắn chỏm xương đùi nhân tạo vào ổ cối nhân tạo, đảm bảo khôi phục lại khả năng vận động linh hoạt cho cơ thể.


Sự hồi phục kỳ diệu từ tình yêu thương
Ca phẫu thuật diễn ra thành công tốt đẹp, Nâu được giữ lại viện để theo dõi quá trình phục hồi. Giai đoạn hậu phẫu này mang tính sống còn, vì các bác sĩ cần đảm bảo cơ thể Nâu chấp nhận khớp nhân tạo và hệ thống vận hành bình thường.
Trong hai ngày đầu tiên, để tránh gây tổn thương thêm, Nâu chỉ được phép thực hiện các cử động nhỏ. Với sự hỗ trợ và chăm sóc tận tình của các nhân viên y tế trong những cử động nhẹ nhàng đầu tiên, một điều kỳ diệu đã xuất hiện.
Chỉ sau hai ngày, Nâu đã bắt đầu có thể tự di chuyển nhẹ nhàng. Tuyệt vời hơn, chỉ sau 1 tuần, nhờ sự kiên trì của chính bé và sự chăm sóc tận tâm từ đội ngũ y tế, Nâu đã đi lại ổn định hơn rất nhiều. Với bộ khớp háng mới, Nâu dần trở lại với cuộc sống vui vẻ, tự do di chuyển mà không còn bất tiện hay đau đớn.
Ánh sáng hy vọng cho thú cưng bị chấn thương nặng
Câu chuyện của Nâu là minh chứng sống động cho sự tiến bộ của y học thú y hiện đại, được chắp cánh bởi tình yêu thương của người chủ và sự tận tâm của đội ngũ Bệnh viện Thú y Bằng Phạm. Phẫu thuật THR không chỉ là một ca chữa trị thông thường, mà chính là ánh sáng hy vọng lớn lao cho những chú chó bị gãy cổ xương đùi đứng trước nguy cơ vĩnh viễn mất khả năng đi lại.
📞 Liên hệ khám & tư vấn chuyên sâu tại Hệ thống Bệnh Viện Thú Y Bằng Phạm
Nếu thú cưng của bạn đang có dấu hiệu đi lại khó khăn, hãy đưa bé đến ngay các cơ sở của chúng tôi để được tầm soát sớm nhất!
- 📍 Bệnh viện Thú Y Bằng Phạm Biên Hòa: Đầu hẻm 1362 Nguyễn Ái Quốc, P. Tân Phong, Đối Diện Nhà Lao, Tp. Biên Hòa, Đồng Nai.
- 📍 Bệnh viện Thú Y Bằng Phạm Bình Dương: 232 Phú Lợi, Tp. Thủ Dầu Một, Bình Dương.
- 📲 Hotline / Zalo (Cấp cứu 24/24): 0942 321 123 (CN1) – 076 739 3839 (CN2)
- 🕐 Giờ làm việc: 8h00 – 22h00 hàng ngày.
